
산림청 국립수목원(원장 임영석)은 국립산림과학원(원장 김용관), 진도군(군수 김희수)과 함께 희귀·특산식물인 조도만두나무의 수분매개충과 종자해충을 동시에 발견하여 학계에 보고했다고 1월 15일 밝혔다.
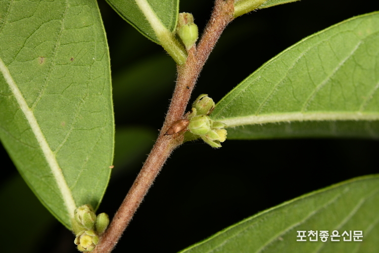
조도만두나무는 전 세계에서 유일하게 진도군에서만 자생하는 희귀·특산식물로 1983년 진도군 조도면에서 신종으로 보고되었다. 조도만두나무는 2016년 세계자연보전연맹 적색목록(IUCN Red List)에서 위급(CR, critically endangered) 단계로 분석될 만큼 보전대책이 절실하다. 현재 진도군은 조도만두나무의 현지내・외 보존과 더불어 산림복원, 가로수 개발 등 자원화 사업을 동시에 추진하고 있으며 국립수목원과 국립산림과학원은 이를 기술적으로 지원하고 있다.

이번에 보고된 조도만두나무의 수분매개충 ‘조도만두가는나방(Epicephala obovatella Kawakita & Kato)’과 종자해충 ‘담갈색조도만두바구미(Nesendaeus monochrous Voss)’는 모두 처음 보고되는 한국미기록종이다.
조도만두나무는 암꽃과 수꽃이 따로 피는 단성화로, 조도만두가는나방 암컷만 수분매개(=꽃가루받이)를 하는데, 화분 전달 직후 암꽃 내부에 알을 낳는다. 나방 애벌레는 종자 1-2개를 먹고 자란 후 성충이 되고, 담갈색조도만두바구미 애벌레도 어린 종자를 파먹음을 확인했다. 수분매개와 가해를 동시에 하는 나방과, 종자 가해만 하는 바구미의 존재를 확인한 본 연구결과는 전문학술지인 한국응용곤충학회지(2025년 12월호)에 실렸다.
국립수목원 산림생물다양성연구과 김일권 연구사는 “조도만두나무의 꽃은 4월부터 10월까지 연속적으로 피는데, 한 곤충에 의해 수분매개와 종자섭식이 동시에 일어나는 매우 드문 경우이다.”라고 언급했다. 공동연구자인 국립산림과학원 산림생명정보연구과의 구자정 연구사는 “이러한 수분매개곤충 생활사 연구를 통해 희귀·특산식물 조도만두나무의 지속가능한 보존 및 관리 방안을 확립하고자 한다.”라고 덧붙였다.
[ 포천좋은신문 문석완 기자 ]





















